愛媛県 売土地 物件
|
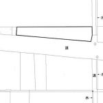
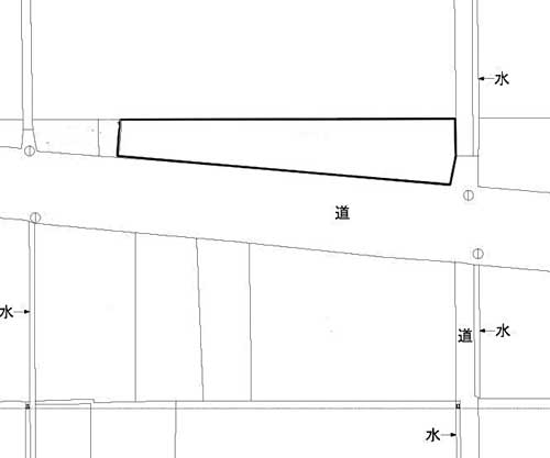
| 所在地 | 愛媛県西条市小松町新屋敷甲 |
|---|---|
| 交通 | JR予讃線 伊予小松駅 徒歩3分 |
| 駐車場 | 取引態様 | 一般 | |
|---|---|---|---|
| 引渡/入居時期 | 相談 | 現況 | |
| 地目 | 宅地 | 用途地域 | 準住居地域 |
| 都市計画 | 非線引き区域 | 地勢 | 平坦 |
| 土地面積 | 301.89m² | 土地面積計測方式 | 公簿 |
| 建ぺい率 | 60% | 容積率 | 200% |
| 土地権利 | 所有権 | その他制限 | 法22条地域 |
| 接道方向1 | 南 | 接道間口1 | |
| 接道種別1 | 公道 | 接道幅員1 | 10m |
| 接道方向2 | 東 | 接道間口2 | |
| 接道種別2 | 公道 | 接道幅員2 | 3m |
| 周辺環境 |
小松小学校 小松中学校 |
||
| 設備・条件 | プロパンガス 公営水道 排水浄化槽 排水その他 | ||
| 物件番号 | 1528 | ||
| 自社物 | 自社物 | 状態 | 売出中 |
| 特記事項 | 現況渡し 更地渡し相談 | ||
※物件掲載内容と現況に相違がある場合は現況を優先と致します。






